Top-Gewerbeimmobilie oder Gewerbegrundstück in bester Lage von 47533 Kleve – ideal für Ihr Projekt!
Beschreibung:
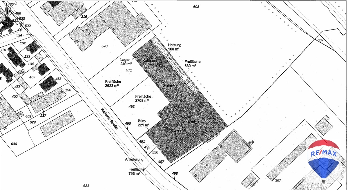
Zum Verkauf steht ein großzügiger ehemaliger Baumarkt mit Gewächshäusern in der Kreisstadt Kleve. Dieses beeindruckende Objekt erstreckt sich über eine Gesamtfläche von ca. 7.263 m², die sich optimal in eine Verkaufsfläche von ca. 6.942 m² und zusätzliche Büro- und Freiflächen aufteilen lässt.Das gesamte Gebäude wurde 1981 errichtet und verfügt über diverse Ein- und Ausgänge sowie Rolltore für verschiedene Nutzungsmöglichkeiten. Ebenso verfügt die Immobilie über einen separaten Anlieferbereich für LKW´s und bietet außerdem zusätzlich ca. 110 Parkplätze.
Das Objekt ist mit einer Gasheizung aus dem Jahr 1994 ausgestattet und bietet großzügige Mitarbeiterbereiche, einschließlich Küche, Umkleideräumen sowie getrennte Herren- und Damen-WCs. Auf einem weitläufigen Grundstück von ca. 13.158 m² bietet diese Immobilie viel Spielraum für unterschiedliche Nutzungskonzepte.
Nutzen Sie die Gelegenheit, in ein Einzelhandelsobjekt zu investieren oder eine Nutzungsänderung für andere Gewerbearten vorzunehmen. Diese flexible Nutzungsmöglichkeit eröffnet attraktive Chancen, um Ihr Projekt nach Ihren spezifischen Anforderungen zu gestalten.
Aufteilung: Verkaufsfläche ca. 6942,00 m², Büro- / Mitarbeiterräume ca. 221 m², Freifläche: ca. 6766 m²
Lagebeschreibung:
Die hier angebotene Gewerbeimmobilie befindet sich in einer bevorzugten Lage von Kleve, einer charmanten und traditionsreichen Stadt am Niederrhein. Die Straße zeichnet sich durch ihre Mischung aus historischen Gebäuden und modernen Einrichtungen aus, was sie zu einem attraktiven Standort für Geschäftstätigkeiten macht.Ein bedeutender Vorteil dieses Objekts ist die ausgezeichnete Anbindung an den öffentlichen Nahverkehr. Die nächste Bushaltestelle befindet sich nur ca. 300 Meter entfernt und bietet eine hohe Frequenz an Verbindungen. Zudem ist der Bahnhof Kleve in ca. 700 Metern erreichbar, wodurch eine problemlose Anbindung an größere Städte gewährleistet ist.
Der nächste internationale Flughafen ist der Flughafen Weeze ca. 25 km und Düsseldorf ca. 90 Kilometer. Diese Entfernung ermöglicht eine gute Erreichbarkeit sowohl für Geschäftsreisen als auch für potenzielle Kunden und Geschäftspartner. Für den individuellen Verkehr sind die Autobahnen A3 und A57 in angemessener Entfernung erreichbar, was die Mobilität für den Waren- und Güterverkehr vereinfacht.
In der näheren Umgebung befinden sich vier zentrale Punkte von Interesse, die für das tägliche Geschäftsumfeld von Vorteil sind:
1. Die Hochschule Rhein-Waal in ca. 1 Kilometer Entfernung, welche eine potenzielle Quelle für Kooperationen und Kundenverkehr darstellt.
2. Das Sankt Antonius Hospital in ca. 1,6 Kilometern Entfernung bietet nicht nur medizinische Versorgung in der Nähe, sondern unterstützt auch die Frequenz an Besuchern und Angestellten.
3. Der nahegelegene Lidl-Supermarkt, lediglich ca. 700 Meter entfernt, sorgt für eine gute Nahversorgung.
4. Das Sportzentrum Kleve-Unterstadt in ca. 820 Metern Entfernung fördert zusätzlich eine aktive und gesunde Lebensweise der Anwohner und Mitarbeiter.
Insgesamt bietet diese Immobilie nicht nur eine strategisch vorteilhafte Lage für geschäftliche Aktivitäten, sondern auch ein durchdachtes Umfeld mit einer vielfältigen Infrastruktur. Sie kombiniert die Vorzüge.
Ausstattung:
Energieausweis:
- Baujahr:
- 1994
- Energieausweis:
- es besteht keine Pflicht!
- wesentlicher Energieträger:
- Erdgas leicht
Ausstattungsbeschreibung:
- Flexibles Laden- oder Einzelhandelsobjekt- Gasheizung 1994
- Grundstück ca. 13.158 m²
- Flächige Fensterfront für maximale Sichtbarkeit
- Geräumige Innenfläche für individuelle Gestaltung
- Robuste Fliesenbodenbeläge für leichten Pflegeaufwand
- Deckensystem mit integrierter Beleuchtung und Videoüberwachung
- Großzügige Parkmöglichkeiten mit 110 Stellplätzen, direkt vor
dem Gebäude
- Gute Erreichbarkeit und Verkehrsanbindung
- Perfekt für innovative Nutzungskonzepte
Sonstige Angaben:
Verpassen Sie keine Immobilie mehr!Unser komplettes Immobilienangebot finden Sie immer zuerst auf www.remax.de
Gerne helfen wir Ihnen auch beim Verkauf oder der Vermietung Ihrer Immobilie.
Karriere bei REMAX?
Infos: www.remax.de/karriere
Sie wollen mehr erfahren?
Wenn Sie uns eine Nachricht über das Kontaktformular senden, melden wir uns schnellstmöglich bei Ihnen:



















































